売地 豊橋市前芝町

700万円

愛知県豊橋市前芝町字西11

東海道本線「西小坂井」駅徒歩32分

価格
700万円
坪単価
9.86万円(70.99坪)
所在地
愛知県豊橋市前芝町字西11
交通

東海道本線西小坂井」駅 徒歩32分

土地面積(坪数)
234.71㎡(70.99坪)
建ぺい率 / 容積率
60% / 200%

セールスポイント

○建築条件なし!

基本情報

販売区画数
-
総区画数
-
土地面積(坪数)
234.71㎡(70.99坪)
坪単価
9.86万円
私道負担面積
割合
-
セットバック
要 記載なし
建ぺい率 /
容積率
60% / 200%
高圧線下面積
-
傾斜地部分面積
-
路地状敷地
-
地目
宅地
地勢
-
造成工事
完了予定
-
土地権利
所有権
建築条件
-
都市計画
市街化区域
用途地域
第一種住居
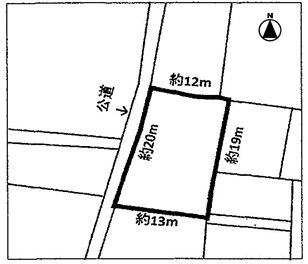
接道状況
-(西 公道 間口 20.0m)
国土法届出要否
不要
最適用途
住宅用地
その他
法令上の制限
-
取引態様
仲介
現況
更地
引渡条件
現況渡
引渡時期
相談
開発許可番号
-
取引条件の
有効期限
2026年03月17日

設備条件

設備条件
設備(その他)
    -

その他

物件番号
95155377
管理コード
-
情報更新日
2026年03月03日
次回更新予定日
2026年03月17日
取扱会社
  • サーラ不動産株式会社 豊橋仲介チーム
  • 愛知県豊橋市駅前大通1丁目55番地 サーラタワー 4F
  • TEL:0532-51-5810
  • 国土交通大臣 (15) 第605号
備考
・道路後退あり

周辺施設

  • 豊橋市立前芝小学校の画像

    小学校

    豊橋市立前芝小学校

    911m(12分)

支払いシミュレーション

月々の支払額
購入希望物件価格
万円
頭金
万円
金利
%
返済額(ボーナス1回分)
万円
返済期間

※ボーナスは自動で年2回分で計算されます。

近隣の物件

  1. 売地 豊橋市東小浜町

    豊橋市東小浜町

    - (241.91㎡)

    1,380万円

  2. 売地 豊橋市飯村南五丁目

    豊橋市飯村南5丁目

    - (195.00㎡)

    1,580万円

  3. 売地 牟呂町八王子

    豊橋市牟呂町字八王子

    - (307.43㎡)

    3,600万円

  4. 売地 豊橋市大清水町大清水

    豊橋市大清水町字大清水

    - (495.28㎡)

    1,195万円

よく見られている物件

  1. 分譲地 豊川市本野町西浦南 区画1

    豊川市本野町西浦

    - (179.14㎡)

    1,599万円

  2. 売地 豊橋市南小池町

    豊橋市南小池町

    - (138.84㎡)

    1,420万円

  3. 売地 西小鷹野一丁目

    豊橋市西小鷹野1丁目

    - (183.05㎡)

    1,200万円

  4. 分譲地 豊川市本野町西浦21番1 区画A

    豊川市本野町西浦

    - (159.49㎡)

    1,490万円

売地 豊橋市前芝町

売地 豊橋市前芝町

700万円

-(234.71㎡)

お気軽にお問い合わせください

無料お問い合わせ

サーラ不動産株式会社 豊橋仲介チーム

0532-51-5810

9:00〜17:30

(休:土曜日・日曜日・祝⽇定休)