売地 豊橋市東小浜町

1,480万円

愛知県豊橋市東小浜町148番1

豊橋鉄道渥美線「愛知大学前」駅徒歩15分

東海道本線「豊橋」駅バス20分豊鉄バス「ユタカ自動車学校」停歩6分

豊鉄バス「ろう学校前(愛知県)」バス停

価格
1,480万円
坪単価
20.23万円(73.17坪)
所在地
愛知県豊橋市東小浜町148番1
交通

豊橋鉄道渥美線愛知大学前」駅 徒歩15分

東海道本線豊橋」駅 バス20分 豊鉄バス「ユタカ自動車学校」 停歩6分

豊鉄バス「ろう学校前(愛知県)」バス停下車 徒歩7分

土地面積(坪数)
241.91㎡(73.17坪)
建ぺい率 / 容積率
60% / 200%

セールスポイント

○中野小学校近く!(歩3分)
○閑静な住宅街
○建築条件なし!

担当者のコメント

指宿 里枝

中野小学校近く(歩3分)、建築条件はありませんのでお好きなハウスメーカーで建てられます。お問い合わせお待ちしております。

基本情報

販売区画数
-
総区画数
-
土地面積(坪数)
241.91㎡(73.17坪)
坪単価
20.23万円
私道負担面積
割合
-
セットバック
建ぺい率 /
容積率
60% / 200%
高圧線下面積
-
傾斜地部分面積
-
路地状敷地
-
地目
宅地
地勢
平坦
造成工事
完了予定
-
土地権利
所有権
建築条件
都市計画
市街化区域
用途地域
第一種中高層住居専用
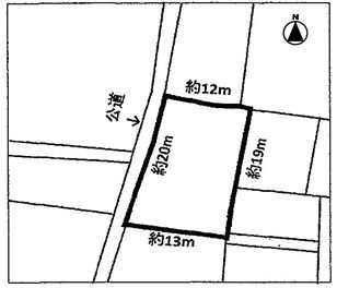
接道状況
一方(南東 公道 10.9m 間口 2.8m)
国土法届出要否
不要
最適用途
住宅用地
その他
法令上の制限
景観法/宅地造成及び特定盛土等規制法/都市再生特別地区/崖上につき建築制限有
取引態様
専任媒介
現況
更地
引渡条件
更地渡
引渡時期
相談
開発許可番号
-
取引条件の
有効期限
2026年02月18日

設備条件

設備条件
  • 都市ガス / 公営水道 / 公共下水 / 電気有
設備(その他)
    -

その他

物件番号
95102807
管理コード
-
情報更新日
2026年02月04日
次回更新予定日
2026年02月18日
取扱会社
  • サーラ不動産株式会社 豊橋仲介チーム
  • 愛知県豊橋市駅前大通1丁目55番地 サーラタワー 4F
  • TEL:0532-51-5810
  • 国土交通大臣 (15) 第605号
備考
・北西側高低差あり
・確定測量済み

周辺施設

  • 豊橋市立中野小学校の画像

    小学校

    豊橋市立中野小学校

    200m(3分)

  • 豊橋市立南陽中学校の画像

    中学校

    豊橋市立南陽中学校

    2084m(27分)

支払いシミュレーション

月々の支払額
9.6
購入希望物件価格
万円
頭金
万円
金利
%
返済額(ボーナス1回分)
万円
返済期間

※ボーナスは自動で年2回分で計算されます。

近隣の物件

  1. 売地 豊橋市前芝町

    豊橋市前芝町字西

    - (234.71㎡)

    700万円

  2. 売地 牟呂町八王子

    豊橋市牟呂町字八王子

    - (307.43㎡)

    3,600万円

  3. 売地 豊橋市宮下町

    豊橋市宮下町

    - (119.87㎡)

    1,150万円

  4. 売地 豊橋市飯村南五丁目

    豊橋市飯村南5丁目

    - (195.00㎡)

    1,580万円

売地 豊橋市東小浜町

売地 豊橋市東小浜町

1,480万円

-(241.91㎡)

お気軽にお問い合わせください

無料お問い合わせ

サーラ不動産株式会社 豊橋仲介チーム

0532-51-5810

9:00〜17:30

(休:水曜⽇・日曜日・祝⽇定休)