売地 牟呂町八王子

3,600万円

愛知県豊橋市牟呂町字八王子

東海道本線「豊橋」駅徒歩25分

豊鉄バス「外神(愛知県)」バス停

豊鉄バス「小松(愛知県)」バス停

価格
3,600万円
坪単価
38.71万円(92.99坪)
所在地
愛知県豊橋市牟呂町字八王子
交通

東海道本線豊橋」駅 徒歩25分

豊鉄バス「外神(愛知県)」バス停下車 徒歩3分

豊鉄バス「小松(愛知県)」バス停下車 徒歩4分

土地面積(坪数)
307.43㎡(92.99坪)
建ぺい率 / 容積率
60% / 200%

セールスポイント

○広々「92.99坪」の敷地
○閑静な住宅街
○牟呂小学校まで徒歩14分
○牟呂中学校まで徒歩22分

担当者のコメント

指宿 里枝

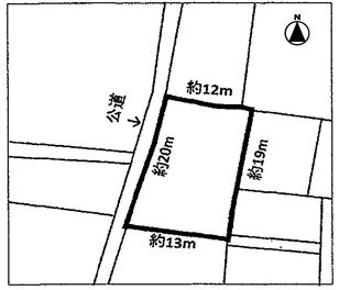
土地面積、広々92.99坪あります。南東側の公道に約14.0m接します。牟呂小学校まで徒歩14分。建築条件はありませんので、お好きなハウスメーカーで建てられます。お問い合わせお待ちしております。

基本情報

販売区画数
-
総区画数
-
土地面積(坪数)
307.43㎡(92.99坪)
坪単価
38.71万円
私道負担面積
割合
-
セットバック
建ぺい率 /
容積率
60% / 200%
高圧線下面積
-
傾斜地部分面積
-
路地状敷地
-
地目
宅地
地勢
-
造成工事
完了予定
-
土地権利
所有権
建築条件
都市計画
市街化区域
用途地域
第一種中高層住居専用
接道状況
一方(南東 公道 7.0m 間口 14.0m)
国土法届出要否
不要
最適用途
住宅用地
その他
法令上の制限
景観法/宅地造成及び特定盛土等規制法/建築基準法22条
取引態様
専任媒介
現況
古家有
引渡条件
更地渡
引渡時期
相談
開発許可番号
-
取引条件の
有効期限
2026年03月17日

設備条件

設備条件
  • 都市ガス / 公営水道 / 公共下水 / 電気有
設備(その他)
    -

その他

物件番号
95599389
管理コード
-
情報更新日
2026年03月03日
次回更新予定日
2026年03月17日
取扱会社
  • サーラ不動産株式会社 豊橋仲介チーム
  • 愛知県豊橋市駅前大通1丁目55番地 サーラタワー 4F
  • TEL:0532-51-5810
  • 国土交通大臣 (15) 第605号
備考
・埋蔵文化財包蔵地(八王子神社遺跡)

周辺施設

  • 豊橋市立牟呂小学校の画像

    小学校

    豊橋市立牟呂小学校

    1041m(14分)

  • 豊橋市立牟呂中学校の画像

    中学校

    豊橋市立牟呂中学校

    1690m(22分)

支払いシミュレーション

月々の支払額
購入希望物件価格
万円
頭金
万円
金利
%
返済額(ボーナス1回分)
万円
返済期間

※ボーナスは自動で年2回分で計算されます。

近隣の物件

  1. 売地 豊橋市東小浜町

    豊橋市東小浜町

    - (241.91㎡)

    1,380万円

  2. 売地 豊橋市飯村南五丁目

    豊橋市飯村南5丁目

    - (195.00㎡)

    1,580万円

  3. 売地 豊橋市前芝町

    豊橋市前芝町字西

    - (234.71㎡)

    700万円

  4. 売地 豊橋市大清水町大清水

    豊橋市大清水町字大清水

    - (495.28㎡)

    1,195万円

よく見られている物件

  1. 分譲地 豊川市本野町西浦南 区画1

    豊川市本野町西浦

    - (179.14㎡)

    1,599万円

  2. 売地 豊橋市南小池町

    豊橋市南小池町

    - (138.84㎡)

    1,420万円

  3. 売地 西小鷹野一丁目

    豊橋市西小鷹野1丁目

    - (183.05㎡)

    1,200万円

  4. 分譲地 豊川市本野町西浦21番1 区画A

    豊川市本野町西浦

    - (159.49㎡)

    1,490万円

売地 牟呂町八王子

売地 牟呂町八王子

3,600万円

-(307.43㎡)

お気軽にお問い合わせください

無料お問い合わせ

サーラ不動産株式会社 豊橋仲介チーム

0532-51-5810

9:00〜17:30

(休:土曜日・日曜日・祝⽇定休)